
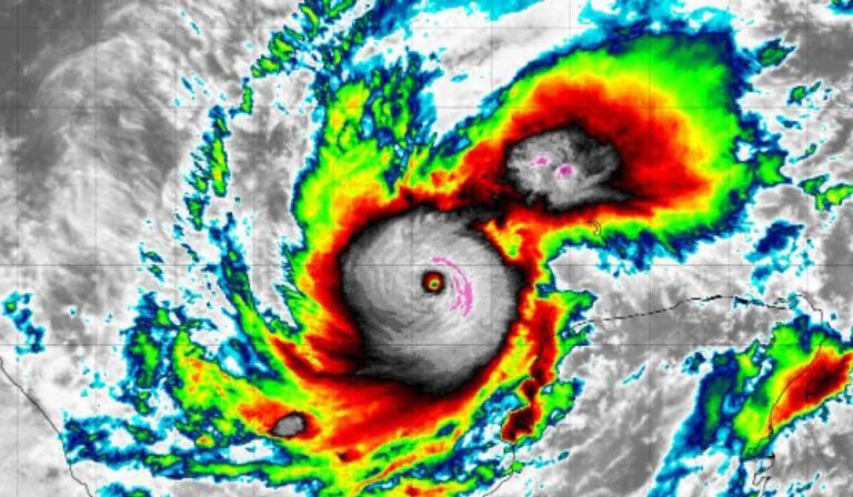
Florida viviría la mayor evacuación desde 2017 por el huracán Milton: ya es categoría 5
Florida está en estado de emergencia por la llegada del huracán Milton, el cual ya es categoría 5 y azotaría a Tampa el miércoles en la noche.

Florida está en estado de emergencia por la llegada del huracán Milton, el cual ya es categoría 5 y azotaría a Tampa el miércoles en la noche.

Este lunes el mercado sigue a la espera de un posible ataque en Medio Oriente, por lo que los precios del petróleo siguen en aumento.

Este lunes en Israel se realiza la conmemoración de Hamás al festival Nova, en Jerusalén, pero promete ganar una guerra contra sus enemigos.

Si desea invertir este 2024 en mercados internacionales como el de Estados Unidos, estos consejos le servirán para iniciar.

Laika, plataforma para productos y servicios de mascotas, busca abrir más puntos físicos en Bogotá y crear empleos en Colombia para cerrar 2024.

Banco de Bogotá ofrece plataformas digitales para que los comercios de Colombia puedan aceptar pagos de manera más fácil.

El proceso electoral de Estados Unidos para elegir un presidente no es como el de Colombia mediante la democracia y el CNE.

El opositor de Nicolás Maduro, Edmundo González, expresó este viernes que volvería a Venezuela en enero para ser el presidente.

Este es el saldo de empresas gigantes portuarias marítimas como Maersk por la huelga portuaria que vivió Estados Unidos desde el 1 de octubre.